トップページへ  チョウ・ガ・トンボ類へ 甲虫・バッタ類へ  ハチ・ハエ・カメムシ類へ

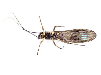
オナシカワゲラの仲間    

オナシカワゲラ科

体長約8mm(翅をいれれば約12mm)。

カワゲラの仲間を識別する適当な図鑑を持たないため,ネット上の情報からオナシカワゲラ科の一種だろうと推測しました。種名までは分かりません。

幼虫は水生です。1段目の写真も谷川の横の薮で撮ったものです。


写真は
一段目2026/03/28一番組